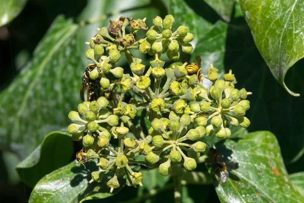
Većina ljudi uopšte ne zna da je bršljan ima cvijeće, neki ne znaju da je pčelama to interesantna paša u vrijeme cvjetanja.
Njegov je nektar visokog kvaliteta, sa puno šećera prema istraživanjima i do 49 %. Bršljan je osim pčelama interesantna biljka u vrijeme cvatnje i ostalim oprašivačima. U vrijeme sunčanih dana kad cvjeta u sve od avgusta do septembra i oktobra prepun je pčela i ostalih oprašivača.
Bršljan je zimzelena trajna biljka koja razvija drvenasto stablo. Pčelama u nedostatku ostalih paša s obzirom na rasprostranjenost i otpornost pruža u vrijeme cvjetanja nezaobilaznu pašu kako u području gradova tako i izvan njih.
Duž stabljike razvija adventivno korenje uz pomoć kojega se kači za podlogu po kojoj se širi, a to najčešće bude drveće.
Stabljika se kod bršljena može razviti čak do dužine i 30 metara. Cvijetovi bršljena rastu u štitastim cvastima, dok su plodovi malene tamnoplave bobice.
Može se ostaviti da raste kao divlja biljka tada je u stanju ukoliko se ne obrezuje prekriti čitave zidove kuća, no podrezivanjem se ipak ubrzava proces te potiče rast isključivo na željenim mjestima i u željenim smjerovima. Podrezivanje bršljena se ne obavlja u ranim već u kasnijim fazama kada je biljka već dobro ukorijenjena.
Bršljan sadrži djelotvorne tvari, saponine, koji se izdvajaju iz listova, a svoje ime zahvaljuju činjenici da stvaraju pjenu kad se otope u vodi. Nakon brojnih kliničkih ispitivanja, čiji su rezultati pokazali i dokazali djelotvornost bršljana odnosno njegova aktivnog sastojka alfa-hederina u liječenju kašlja, opisan je i njegov mehanizam djelovanja u stanici.
OPREZ: Bršljan je istovremeno ljekovita i otrovna biljka, svi dijelovi bršljana mogu ukoliko ih progutamo izazvati ozbiljne zdravstvene probleme.Izvor:pcelarstvo.hrPROČITAJTE:Listovi bršljana kao lijekŠta sve čuva bršljan






















Nema komentara